총 게시물 61건, 최근 0 건
   

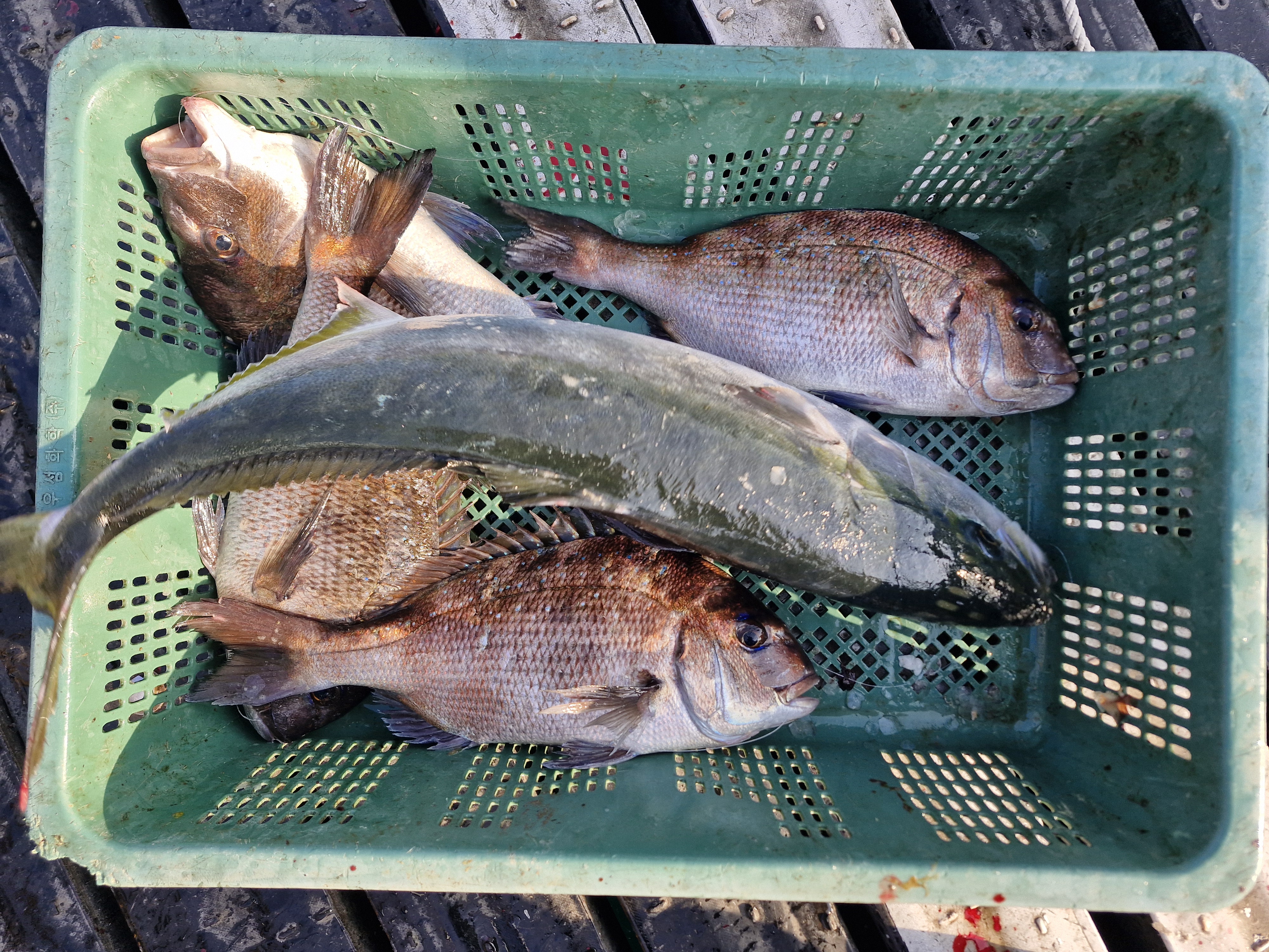
12월 1일 조황 소식입니다

글쓴이 : 불샤크 날짜 : 2025-12-02 (화) 21:48 조회 : 77










■기존 들어가는 방어보다 빵이 좋습니다
송정낚시터에서는 방어 빵을 키우기위해 신선한 전갱이 먹이를 순차적으로 먹이고 난뒤 입어 하고 있습니다
(갈수록 빵이 좋아짐)

■■겨울철 방어 이벤트 19일부터 시작■■
(체험방이벤트 포함)

ㆍ기간: 11월 19일~소진시 까지
ㆍ입어료 무제한방 99.000원(부가세포함)
ㆍ오전방류(10:10) 대방어(3-5킬로급)방류위주
ㆍ오후방류(13:00)참돔 방류


※위 행사기간중 단골이번트 실시
(5회 방문시 6회 방문때 4만원 할인)
※단체이벤트 6명 이용시 1명무료입장
※연인이벤트는 기존대로 진행

※※올해 대방어 가격이 작년보다 많이 올라 가고 있습니다 참고 하십시요
ㆍ작년에는 4~7킬로급으로 방어 낚시를 한 결과 제압이
안되어 힘든점이 있어 올해는 다소 제압이 쉬운 3-5킬로급으로 방어낚시 실시합니다


■■11 월 휴장일■■

11월 /25일

위~~~ 휴장일만 공지하고 있습니다
매주화요일 정기휴장일이며 기상등 이변이 있을때만
따로 휴장이라 공지 하고 따로 휴장공지가 없음
정상개장이 원칙입니다


■11월 체험방 할인공지■

ㆍ11월 19일 부터 체험방 입어료 44,000원(부가세포함)
ㆍ11월 19일부터 1인 조사님당 3수 까지 가능
(단 참돔은 2수로 제한)
(우럭ㆍㆍ알방어 ㆍ돌돔 등 입어중)
※※(어종은 올라오는 순서대로 3수 까지 가능)

ㆍ어른 어린이 구분없이 동일함
ㆍ낚시대 대여료 3.000원

■■자리뽑기는 참돔입어를 하기에 08:30분
주말 08:20분에 1회 뽑기실시)

■입어료 99.000(부가세포함가격)

■진행중인 이벤트
(5번 방문하면 6번째 방문시 4만원 할인)
ㆍ연인 이벤트 (남여 무제한방 이용시 1만원 할인)
ㆍ단체이벤트
(6명 단체 이용시 1명 무제한방 무료 입장

■기타문의:010 4704 8805

☞특수문자
hi